雷神来了|谁让英国一天内被闪电劈了6万次?
英国当地时间5月26日入夜后,一场强雷暴天气横扫英国南部地区。
据路透社等媒体报道,当晚4小时内,伦敦地区记录了约15000次闪电;而整个英国南部地区24小时共监测到闪电活动6万余次。

图为温布利大球场上空划过的闪电。
当地群众惊呼,“这是老天打开了闪光灯模式!”
24小时内6万次闪电是什么概念?
可以对比一下。2016年7月9日,当台风“尼伯特”在我国福建登陆后,其外围的稳定下沉气流开始向不稳定结构发生转变。这一过程释放了大量能量,导致深圳当晚电闪雷鸣,24小时内出现11478次闪电活动。这也创下当年深圳单日最高闪电次数的纪录。
在紧邻深圳的香港,据香港天文台资料,当地测得单日闪电次数的历史纪录为2010年9月9日的1.4万次。
2013年8月11日,陕西全省测得闪电36585次,刷新该省有闪电定位监测以来,日闪电次数的历史极值。

闪电是一种大气活动释放能量的剧烈过程——
正如《复仇者联盟》里,雷神索尔只有用锤子召唤来闪电,才能完成从“王大锤”到男神的变化……

闪电的电压很高,是一种直流电。在一次雷雨闪电中,闪电刚放电时的电压约等于5亿伏,平均电流估计大约是20万安。
每个闪电释放能量的大小差异很大,平均来看,一次闪电释放的能量相当于30至144升汽油所产生的能量,足以让一辆普通轿车行驶290至1450公里——就以平均900公里计,6万次闪电释放的能量,可以让车行驶5千4百万公里。按地球赤道周长约4万公里来算,即能绕地球跑1350圈。

真不知道,那个被闪电劈了6万次的夜晚,英国群众究竟经历了什么……

让我们回到那个夜晚——
这次雷暴天气导致伦敦第三大机场——斯坦斯特德机场的加油系统发生故障,有超过200架次航班延迟,31架次离港航班取消出发,18架次到港航班未能如期抵达。也有民居因雷击起火,在消防员扑灭火情后,房顶已烧去大半,所幸无人员伤亡。

英国埃塞克斯郡一处因雷击烧毁屋顶的民居。
回放
在伦敦工作的华人陈曦告诉记者,她到英国7年以来,从未见到过如此强烈、密集的雷暴活动。
“那晚风雨交加,尤其雨下得很急。随后,闪电在天空密集出现,有时同时出现几道,有时是一道很粗、很亮的闪电直劈下来。像是有一个巨型闪光灯,天空有时如白昼,有时呈深蓝或深紫色。”
与雷暴活动伴随而来的还有强降雨,英国一些城镇出现了洪涝灾害,近千处民宅断电。

图为东伦敦清真寺上空划过的闪电。
那么,英国为何会遭遇“雷暴之夜”?
影迷说,是因为灭霸打了响指,索尔愤而暴走了吧……
球迷说,是预示英国利物浦队会因为门将的超级失误丢掉欧洲冠军杯吧……
英国气象局说,这次强对流天气与一个登陆英国的温带气旋有关。该气旋此前影响了法国北部,在跨越英吉利海峡时逐渐增强,并强势登陆英伦。当地气象部门已提前对威尔士和英格兰南部、中部地区发布恶劣天气黄色预警。
所谓“温带气旋”,在形态和名称上与我们熟悉的“热带气旋”——台风,有些许相似之处。在欧美气象预报术语中,风暴天气既指代热带气旋,也包括温带气旋。

2010年10月下旬影响美国的温带气旋

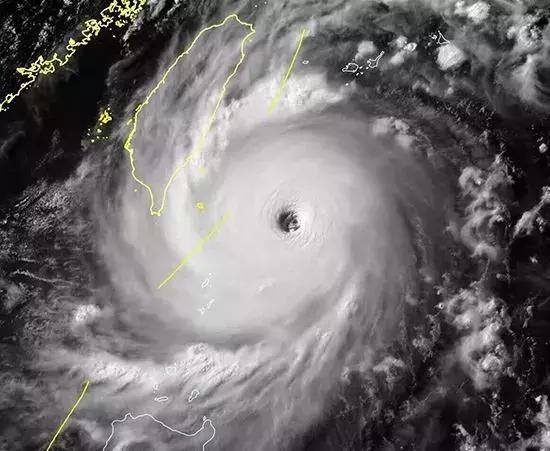
2016年7月7日的台风(热带气旋)“尼伯特”

两者的区别在于:
热带气旋为正压结构、暖心系统,靠吸收海水水汽热量来运行和加强,发展强烈时中心有空洞,称为台风眼,在低纬度海洋表面生成;
温带气旋多数为斜压结构、冷心系统,靠斜压能(即冷暖气团的温差)来运行和加强,通常前部为暖锋、后部为冷锋,在陆地和洋面上都可以生成。
人们在新闻中看到西欧和英伦三岛等地遭遇的风暴,多数是温带气旋。
由于热力原因,温带气旋的强度总体上不如热带气旋。而另一方面,温带气旋本身就起源于冷暖气团碰撞,因而常带来雷暴、大风、短时强降雨等强对流天气。
结语:
一个强烈发展的温带气旋,如果遇到适宜的能量释放环境,造就一次“雷暴之夜”,也不算意外。

本文原作者:中国气象报记者 段昊书 刘淑乔
图片、图解来源:BBC、中国气象报社及网络
改编:段昊书
责任编辑:一多